






Oportunitate de achiziție la preț foarte accesibil – COMISION 0%
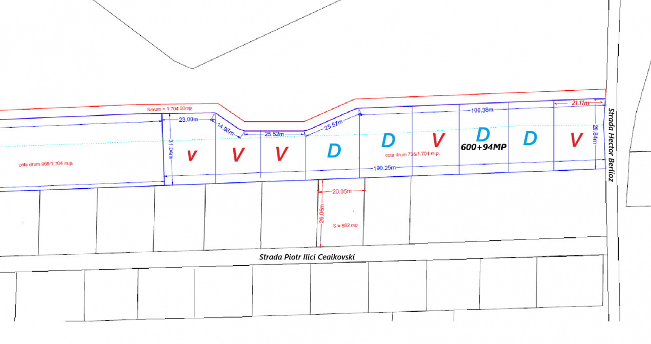
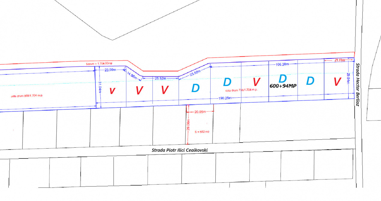
Vă oferim spre vânzare două parcele dintr-un proiect de 18 terenuri intravilane, cu PUZ în desfășurare, situate într-o zonă liniștită, verde și aerisită, cu panoramă superbă spre oraș. Accesul se face din Strada Piotr Ilici Ceaikovski, cu intrare din Strada Giusepe Veldi, o stradă amenajată în cartierul Iris.
Suprafață: 680 mp, cu cotă parte din calea de acces (după dezmembrare, parcelele marcate cu litera D sunt disponibile)
Posibilitate achiziție parcelă mai mare: 800 mp sau 1000 mp – detalii disponibile telefonic, în funcție de buget
Front stradal: 21 ml
Calea de acces asigurată și în curs de amenajare
Teren drept, poziție care oferă panoramă spre oraș
Expunere sudică – soare pe tot parcursul zilei și apus spectaculos
Infrastructură și utilități:
Drum de acces realizat de dezvoltator la achiziție
Toate utilitățile disponibile: apă, gaz, canalizare, curent
Stradă asfaltată – proiect de modernizare în desfășurare de către primărie
Cartier:
Exclusivist și aerisit
Străzi preluate în gestiunea primăriei
Încadrare PUZ și posibilități de construcție:
Teren pretabil pentru case individuale, cuplate sau înșiruite
Tipuri de construcții permise: (S)+P+1+M, (S)+P+1+R, (S)+P+2, D+P+1+M, D+P+2, D+P+M, D+P+R
POT: 35% – 60%
CUT: 0.9
Asociație de proprietari și firmă de arhitectură implicate în finalizarea PUZ-ului
Terenul este fără restricții și se află într-o zonă cu dezvoltare urbană reglementată.
Situatia juridica este una clara si transparenta.
Dacă doriți să faceți parte dintr-un cartier select și exclusivist, vă invităm pentru vizionare și achiziție.
Pentru mai multe detalii și programări, vă rugăm să ne contactați.